Nieuw.jpg
Nieuw.jpg
Nieuw in verkoop

Te koop: De Vennen 92-94, 9541 LC Vlagtwedde

€ 132.000,- k.k.
Type object Woonhuis
Perceeloppervlakte 610 m²
Aanvaarding In overleg
Recreatie object
Woonoppervlakte 85 m²
Status Nieuw in verkoop

Beschrijving

Vlagtwedde, de Vennen 92+94.
Aangeboden door SLUITER Makelaardij Vlagtwedde.
Twee woningen in een koop op c.a. 610m2 eigen grond.
Gelegen op een park met alle faciliteiten o.a. subtropisch-zwemparadijs, golfbanen, jachthaven,
Bouwjaar: 1996.

Begane grond: Hal met vaste trap naar verdieping Ruime 2woonkamers met nieuwe vloeren en openslaande deuren naar terras, 2 keukens v.v. alle gemakken o.a, combi-magnetronoven, en vaatwasmachine 2 badkamers douche en bad, vaste wastafel, toilet, berging, bijkeuken.

Verdieping: Overloop, 6 slaapkamers.

Alg-info: Ligging aan het binnenmeer van Parc Emslandermeer, nabij golfbanen, bossen & natuurgebieden. Deze woning kan voor eigen gebruik en/of verhuur.

Bezichtiging uitsluitend op afspraak met de betrokken makelaar!

Vraagprijs € 264.000,= k.k. Per woning!

Aan vermelde gegevens kan geen aanspraak worden ontleend! Nr 011023.

Kenmerken

Overdracht
Referentienummer 00267
Vraagprijs € 132.000,- k.k.
Inrichting Ja
Inrichting Gemeubileerd
Status Nieuw in verkoop
Aanvaarding In overleg
Aangeboden sinds Vrijdag 6 februari 2026
Bouw
Type object Woonhuis
Soort bouw Bestaande bouw
Bouwperiode 1996
Oppervlaktes en inhoud
Perceeloppervlakte 610 m²
Woonoppervlakte 85 m²
Inhoud 140 m³
Indeling
Aantal bouwlagen 2
Aantal kamers 4 (waarvan 3 slaapkamers)
Aantal badkamers 1 (en 1 apart toilet)
Locatie
Ligging Aan vaarwater
Platteland
Uitrusting
Aantal parkeerplaatsen 2
Ventilatie methode Mechanische ventilatie
Heeft kabel-tv Ja
Beschikt over een internetverbinding Ja
Heeft ventilatie Ja
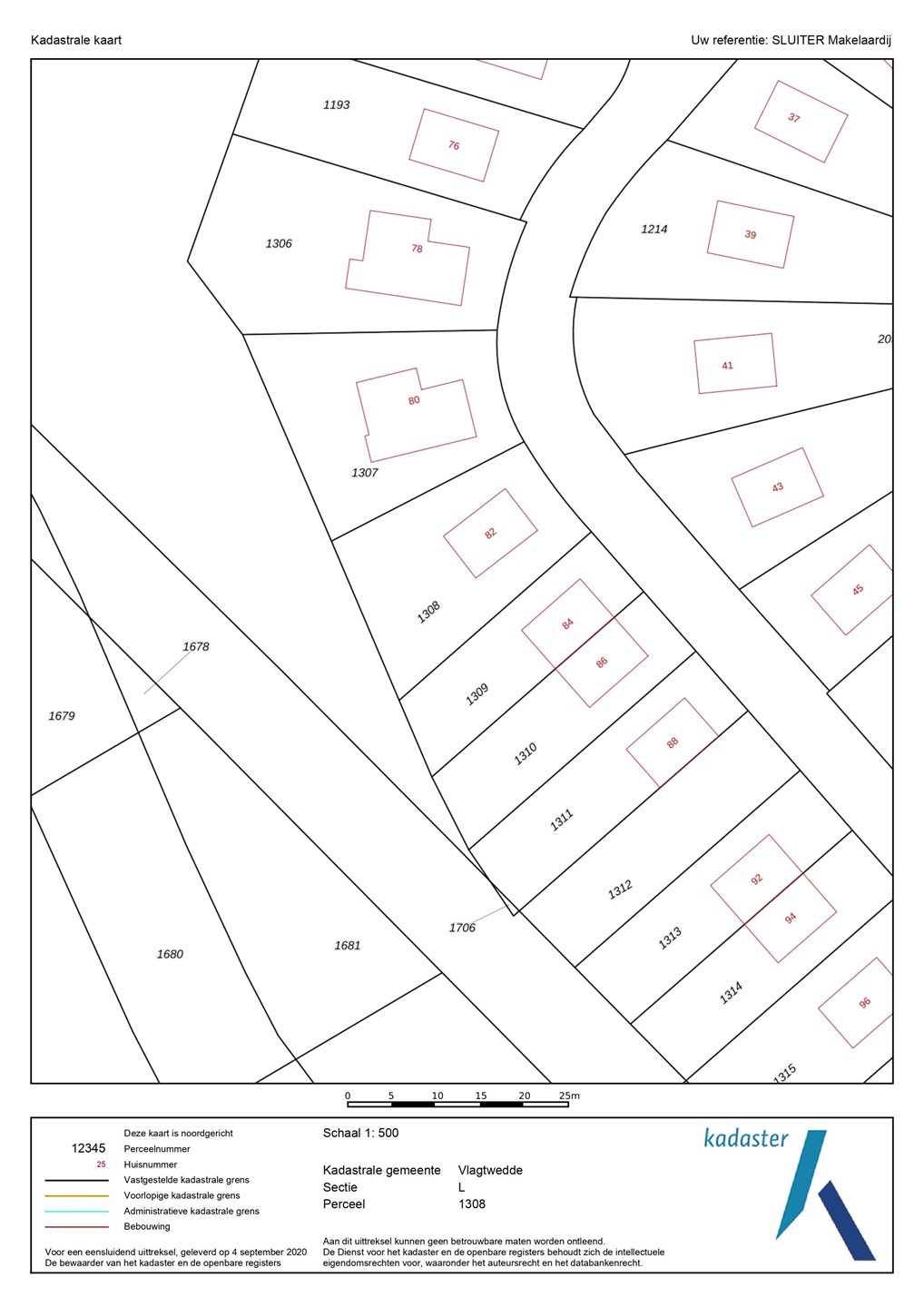
Kadastrale gegevens
Kadastrale aanduiding Westerwolde L 1313

Foto's

Plattegronden

Brochure(s) en overige bijlagen

Kaart

Sluiten

Recent bekeken